శనివారం, 8 నవంబరు 2025
  1. వార్తలు
  2. తెలుగు వార్తలు
  3. తెలుగు వార్తలు
Written By మోహన్
Last Updated : మంగళవారం, 30 ఏప్రియల్ 2019 (12:15 IST)

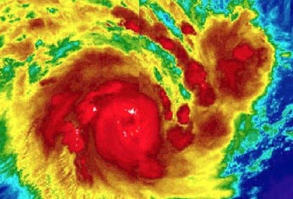
పెను తుఫానుగా ఫణి.. బలమైన ఈదురుగాలులు వీచే అవకాశం..

దక్షిణ బంగాళాఖాతంలో ఫణి తుఫాన్ స్థిరంగా కొనసాగుతోంది. రానున్న 12 గంటల్లో అది కాస్త తీవ్ర తుఫానుగా మారి, మే 1వ తేదీ సాయంత్రానికి తీవ్ర పెనుతుఫానుగా మారనుంది. ప్రస్తుతం ఫణి తుఫాన్ చెన్నైకి తూర్పు ఆగ్నేయంగా 710 కిలోమీటర్ల దూరంలో, మచిలీపట్నానికి ఆగ్నేయంగా 810 కిలోమీటర్ల దూరంలో కేంద్రీకృతమై ఉంది.
 
వాయువ్యదిశగా కదులుతున్న ఫణి తుఫాన్ మే 1వ తేదీకి దిశ మార్చుకునే సూచనలున్నాయి. తర్వాత ఉత్తర వాయువ్యదిశగా ఒడిశా తీరం వైపు పయనించనున్నట్లు సమాచారం అందుతోంది. దక్షిణ కోస్తాలో నేటి నుంచి 40 నుంచి 50 కిలోమీటర్ల వేగంతో బలమైన ఈదురుగాలులు వీచే అవకాశం ఉంది. మే 3, 4 తేదీలలో ఒడిశాతో పాటు ఉత్తర కోస్తాల్లో భారీ వర్షాలు కురిసే అవకాశం ఉంది. దీంతో అధికారులు అన్ని ఓడరేవుల్లో రెండో నంబర్ ప్రమాద హెచ్చరికలు జారీ చేశారు.